欢迎访问鹿泉区人民政府网站!
无障碍浏览进入适老化繁体版 丨 简体版
首页  > 政府信息公开  > 法定主动公开内容  > 行政执法公示  > 执法机关  > 自然资源和规划局  > 事前事后公开  > 事前公开
石家庄市自然资源和规划局鹿泉分局关于“石榴红了.运营平台智慧谷-大为商务楼(A2)、太行商务楼项目(A6)”的公示通告
2024-06-26  来源:  浏览次数:1
石家庄市自然资源和规划局鹿泉分局关于“石榴红了.运营平台智慧谷-大为商务楼(A2)、太行商务楼项目(A6)”的公示通告
   
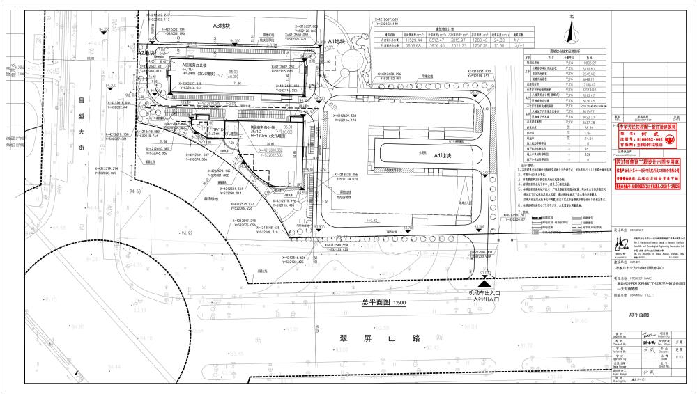
      我局正在对石榴红了.运营平台智慧谷园区内的“石榴红了.运营平台智慧谷-大为商务楼和太行商务楼”项目规划机动车停车位进行调整。两项目位于开发区横山村,用地性质为商务用地。本次调整内容为机动车停车位布置。调整后总建筑面积及机动车停车位总位数不变。(详见总平面图)
根据《中华人民共和国行政许可法》、《中华人民共和国城乡规划法》的有关规定,现就规划方案向社会予以公示,广泛征求和听取利益相关者的意见和建议。如以上申请事项影响到或可能影响到您的权益,你应在公示期10天内(按公示当日时间计算)通过书面或电话形式向鹿泉分局提出意见,利害关系人有申请听证的权利。相关查询请登录中国鹿泉(http://www.sjzlq.gov.cn) ,有效意见反馈途径为鹿泉分局。
联系电话:  82019499
附    件:  项目总平面图
                                        2024年6月25日